Prodej stavební parcely 693 m², Jáchymov
1 300 000 Kč
Popis nemovitosti
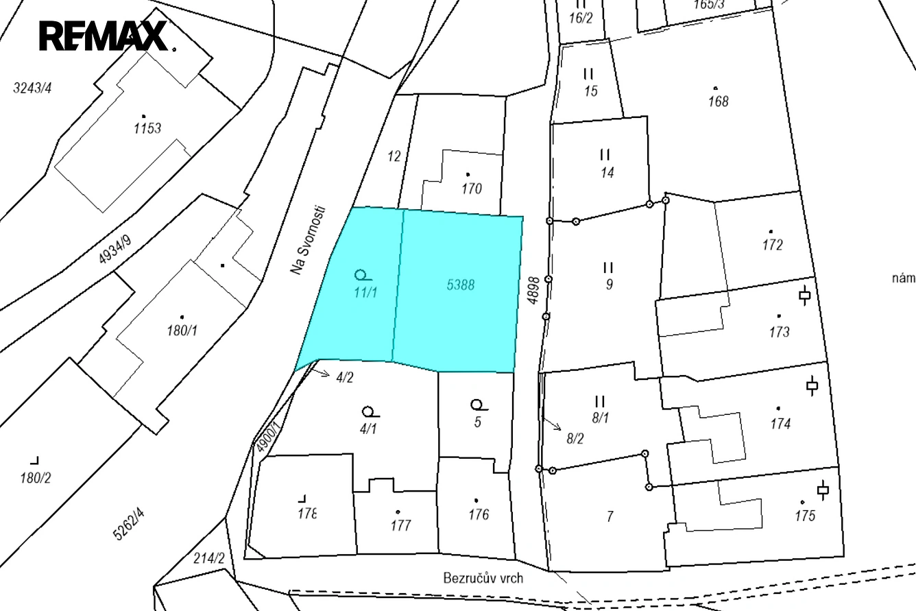
Exkluzivně vám nabízíme možnost koupi dvou pozemků o celkové výměře 693 m2 v Jáchymově.
Pozemky jsou v územním plánu obce vedeny jako smíšené plochy obytné, tzn., že zde můžete za určitých podmínek stavět.
Parcela 11/1, vedena jako zahrada má evidovanou výměru 263 m2.
Parcela 5388, vedena jako ostatní plocha má evidovanou výměru 430 m2. Na této parcele jsou pozůstatky budovy, který zde stála.
Nedaleko je nejstarší funkční důl v Evropě, který je dnes využívaný lázněmi jako zdroj léčebných radonových vod.
Z pozemku je krásný výhled na kostel sv. Jáchyma a do údolí. Přístup na pozemek je ze zpevněné komunikace.
Doporučuji si domluvit osobní prohlídku. Prodávající si vyhrazuje právo vybrat kupujícího na základě jím zvolených kritérií.
Základní údaje
Ochrany omezení
Ochranné pásmo
ID nemovitosti
404987
Datum vložení
27. října 2025
Cena
1 300 000 Kč
Plocha celková
693 m²
Plocha pozemku
693 m²
Plocha užitná
693 m²
